Terrain à vendre à Somâa – Lotissement approuvé

Publié le 21 Apr 2026

99000 DT
TE_AZ572984916
  • TERRAIN
  • VENTE
  • NABEUL, BENI KHIAR
  • 5 Vues

Détails

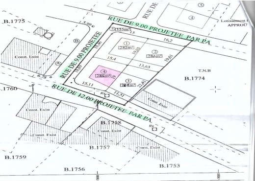
  • Superficie Total 285 (m²)
  • Superficie Couverte 285 (m²)

Description

🌿 Terrain à vendre à Somâa – Lotissement approuvé Profitez d’une belle opportunité d’investissement avec ce terrain de 285 m², situé dans un quartier résidentiel calme et agréable, à proximité immédiate de toutes les commodités (écoles, commerces, services). ✅ Lotissement officiellement approuvé ✅ Emplacement stratégique et paisible ✅ Idéal pour construire votre future maison ou un projet immobilier situation juridique: Titre individuel 💰 Prix : 350 DT/m² 📞 Contact : 22 808 100

Informations sur l'annonceur

Agence immobiliere Extra

22808XXXX 22808100

Cliquez pour afficher le numéro de téléphone

Appeller

Envoyer Message